Микрорайон New Terra превратит северо-запад Барнаула в территорию комфортной жизни
Благодаря комплексной застройке компанией "Алгоритм" здесь появятся жилые кварталы со школами, детсадами, парками и бизнес-центром
31 марта 2025, 11:00, ИА Амител erid: 2W5zFGxzrVE
Барнаул активно развивается, на карте появляются новые жилые комплексы. Один из проектов, который стремительно набирает обороты, – микрорайон New Terra*. Он расположен рядом с ТРЦ "Арена". В ближайшие годы он пополнится необходимой современной инфраструктурой: комфортабельными домами, зелеными зонами, социальными объектами и развитой дорожной сетью, сообщает издание "Толк". Основатель масштабного, продуманного района и флагман в части его застройки – компания "Алгоритм" – рассказал, что собой будет представлять New Terra.
Первопроходец в деле комплексной застройки
История New Terra началась в 2020 году, когда строительная компания "Алгоритм" взяла на себя амбициозный проект освоения 86 гектаров земли. Это стало первым шагом масштабного развития территории за последние десятилетия. С тех пор на месте бывших сельскохозяйственных угодий выросли жилые комплексы "Колумб", а в скором времени появятся "Прайм" и "Спектр", а также еще 130 тыс. кв. метров жилья от "Алгоритма".
Перспективы развития микрорайона выглядят многообещающе. Он стал отправной точкой для освоения Северо-Западного планировочного района, который закреплен в обновленной версии генплана Барнаула. Власти города и строительные компании возлагают на проект большие надежды, как на место для развития и расширения границ комфортной жилой застройки.
Северо-Западный планировочный район – пока единственная долгосрочная площадка в городе, подходящая для квартальной застройки с развитой инфраструктурой. Учитывая дефицит свободных земель в Барнауле, район представляет особую ценность для девелоперов.
"С самого начала своей работы, с первых же проектов ГК "Алгоритм" ориентируется на комплексную квартальную застройку. Мы понимали важную роль такого подхода для развития нашего города в будущем. Разумеется, у нас есть проекты точечной застройки, рынок обуславливает выбор подобных площадок, но даже в этом случае мы стараемся прорабатывать и реновировать близлежащие участки", – сказал руководитель ГК "Алгоритм" Андрей Суртаев.
И отметил, что один из ярких примеров – соседствующие жилые комплексы на Чернышевского, "Современник" и "Литерный".
Еще одним перспективным районом для развития Барнаула считают правый берег Оби. Однако эксперты отмечают, что реализация планов по застройке, предусмотренных обновленным генпланом, потребует больших инвестиций в укрепление берега, коммуникации и другую инфраструктуру. Возможно, со временем найдутся инвесторы, готовые вложить средства в подготовку территории, и город сможет полноценно освоить правый берег Оби. Однако в текущих экономических условиях процесс представляется довольно отдаленной перспективой.
Гармоничное сочетание комфорта и функциональности
В New Terra планируют строительство 42 комфортабельных домов. Микрорайон будут развивать комплексно.
"Мы провели большую работу с проектом планировки квартала, создавая условия для комфортной жизни с любыми запросами аудитории. Композиционная привлекательность объектов образуется за счет равного ритма размещения высоток. Основа – это здания высотой десять этажей с высотными акцентами в 16–17 этажей", – рассказал барнаульский архитектор Сергей Черепанов.
По его словам, разработчики разделили жилую и коммерческую застройку, а также продумали расположение парковок. Во дворах предусмотрели зоны для разных возрастов: места отдыха для взрослых, детские и спортивные площадки, которые не мешают друг другу и остальным жителям. В New Terra появятся скверы, аллеи, а еще – городской парк.
"При запроектированных просторных дворах это вполне возможно сделать без потери уюта и избежать эффекта "окна в окна". Правильное расположение зданий и работа с розой ветров позволит избавиться от продуваемых зон, что очень важно для комфорта жителей. Здесь будет создано пространство для комфортной современной жизни, где застройщик использует эффективные рабочие решения для людей", – подчеркнул архитектор.
Помимо домов, проект планировки предусматривает строительство нескольких детских садов и школ, поликлиники, более десяти многоуровневых парковок, различных коммерческих объектов и спорткомплекса.
Социально-деловое ядро
Девелопер планирует разнообразить инфраструктуру микрорайона появлением бизнес-центра. Его разместят между домами поселка Солнечная Поляна и новым многоэтажным районом – на улице Багряной, 65. Кстати, эскиз уже готов и получил высокую оценку со стороны экспертного сообщества на одном из прошлогодних заседаний градсовета.
Бизнес-центр будет пятиэтажным зданием Г-образной формы. Фасады выполнят в светлых и природных тонах, что придаст объекту легкость и воздушность. Для сохранения эстетического вида предусмотрели места для вывесок и корзины для кондиционеров. Вечером фасады украсит архитектурная подсветка. Особенностью здания станут "ножки", на которые поднимут одно крыло. Это добавит уникальности дизайну и дополнительные парковочные места.
Развитая дорожно-транспортная сеть
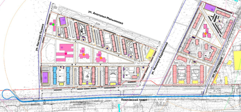
В новом микрорайоне будет достаточно парковочных мест и другой дорожно-транспортной инфраструктуры для комфортной жизни. В 2024 году специалисты "Алтайкоммунпроекта" разработали проектную документацию для четырех новых улиц в New Terra: Михаила Евдокимова, Нестора Козина, Григория Левина и Анатолия Мельникова, а также для еще не существующего дублера Павловского тракта. Там будут тротуары, удобные парковки и, частично, велосипедные дорожки.
Согласно плану, улица Нестора Козина будет самой длинной – протяженность дороги составит 1070,5 м, ширина полотна – 7 м. Вдоль нее построят трехметровый тротуар. На втором месте по длине – улица Михаила Евдокимова. Дорога будет четырехполосной (длина 808,4 м и шириной 14 м) с тротуаром в три метра.
В будущем по "младшему" Павловскому тракту могут ходить автобусы. Для них предусмотрели четыре остановки с красивыми павильонами от компании "Алгоритм". Две из них – на Павловском тракте, еще две – на ул. Михаила Евдокимова и Анатолия Мельникова. Планируют добавить новые автобусные маршруты и изменить существующие. Например, рассматривают возможность корректировки движения популярных маршрутов № 47, 73, 65. Сейчас проект согласовывают с администрацией города. Также генплан включает строительство трамвайной линии от старого торгового центра (Павловский тракт, 156) до улицы Власихинской.
"Создать полноценную инфраструктуру для реально комфортной жизни – это наша главная задача. Для 86 гектаров нового микрорайона "Алгоритм" проработал еще и проекты расширения Павловского тракта и улицы Просторной. Мы изначально понимали, что с ростом населения в микрорайоне транспортный трафик значительно увеличится, поэтому проработали еще и данные направления", – пояснил Андрей Суртаев.
Важна каждая деталь
Сегодня новый микрорайон на северо-западе Барнаула – один из самых крупных проектов комплексного строительства за последние годы. Он воплощает мечту о современном городе с красивыми кварталами, современной архитектурой и богатой инфраструктурой.
Микрорайон будет иметь неповторимый архитектурный облик, объединяя стиль и удобство. Кирпичные дома от ГК "Алгоритм" предоставят возможность выбора различных планировок и оформления.
"Алгоритм" стремится сделать микрорайон современным и комфортным. Уже сейчас девелопер заменил часть основных сетей и создал систему водоотведения. В планах компании – проектирование и строительство важных соцобъектов, часть из которых реализуют с помощью федеральных программ финансирования.
В их числе:
- пять детских садов на 330 мест;
- две школы с бассейном, рассчитанные на 1300 и 1600 учеников (находятся на стадии проектирования);
- большая поликлиника на 660 посещений в смену (на стадии проектирования);
- 11 многоуровневых гаражных комплексов более чем на 3600 машино-мест (их разместят в разных локациях микрорайона).
"Благоустройство территории – это важная составляющая комфортной среды для жизни населения. В него входит не только озеленение территории. Важна каждая деталь: освещение, удобные, красивые и аутентичные остановочные павильоны, малые архитектурные формы и т.д. С особым вниманием мы подходим к созданию образовательного кластера. Поэтому мы взяли на себя разработку проектов для современных, красивых новых школ и детских садов", – подчеркнул Андрей Суртаев.И резюмировал, что компания никогда не ограничивалась лишь возведением хорошего жилья. "Алгоритм" смотрит в будущее. Причем в счастливое, которое строит для людей.
"Алгоритм" входит в первую тройку застройщиков Барнаула по объемам строительства. Компания возводит более 100 тыс. кв. метров жилья. В следующем году девелопер планирует завершить строительство ЖК "Современник" на Чернышевского, 189 (30 июня 2026) и ЖК "Прайм" на Павловском тракте, 196а (не позднее 31 марта 2026). В начале 2026 года ожидает ввод ЖК "Сокол" (не позднее 30 июня 2026) на Сулиме и ЖК "Спектр" (не позднее 30 июня 2026) на ул. Мельникова, 1.
Строительная компания "Алгоритм"
Телефон отдела продаж: +7 (3852) 72-00-82
Сайт
*New Terra ("Нью Терра")
ЖК "Прайм" – застройщик ООО "СЗ "Смарт"; ЖК "Спектр" – застройщик ООО "СЗ "Домостроительная компания"; ЖК "Сокол"– застройщик ООО "СЗ "Алгоритм-Дом"; ЖК "Современник" – застройщик ООО "СЗ "Этюд"; БЦ "НьюТерра" – застройщик ООО СЗ "Алгоритм-Алтай".
С проектными декларациями и дополнительной информацией можно ознакомиться на сайте наш.дом.рф. Условия акций, рассрочки смотрите на сайте ГК "Алгоритм".
ООО "СЗ "Смарт", ИНН 2225187182
Реклама







Комментарии 19
11:07:18 31-03-2025
И метро построят! Не, ну а как? Павловский тракт же никто не собирается расширять.
13:02:53 31-03-2025
Гость (11:07:18 31-03-2025) И метро построят! Не, ну а как? Павловский тракт же никто не... Metro там есть уже. Хоть трамвай бы пустили.
13:07:53 31-03-2025
Гость (11:07:18 31-03-2025) И метро построят! Не, ну а как? Павловский тракт же никто не... Метро не нужно. Надо просто проложить скоростной магистральный трамвайный путь вдоль Павловского тракта до улицы Советской Армии и дальше путь по улицам Челюскинцев и Анатолия до проспекта Ленина и вверх до площади Октября. Часть этого пути уже есть. Эти 13:км от Солнечной поляны до центра трамвай при скорости 25 км покроет за полчаса, а при создании благоприятных условий - за 15 минут. Об этом я детально пишу в сообществе ВК - Комфорт центра Барнаула. Всё это реально, нужно просто говорить об этом с администрацией города.
13:36:04 31-03-2025
Евгений Иванов (13:07:53 31-03-2025) Метро не нужно. Надо просто проложить скоростной магистральн... трамвай - это реально решение для Барнаула. только маршруты нужно оптимизировать исходя из потребностей пассажиров. а то порой пешком напрямую быстрее, чем зигзагами на трамвае, хотя и рельсы даже есть. и что-то делать надо с кривизной рельс. в других городах трамваи ездят быстрее и тише, не раскачивабтся так и с рельс не спрыгивают. наши - как сайгаки
19:42:33 31-03-2025
Евгений Иванов (13:07:53 31-03-2025) Метро не нужно. Надо просто проложить скоростной магистральн... в аэропорт трамвай тоже бы пригодился
13:50:07 02-04-2025
Евгений Иванов (13:07:53 31-03-2025) Метро не нужно. Надо просто проложить скоростной магистральн... Женя, а вы из личного кармана профинансируете перенос коммуникаций и зданий для прокладки трамвайной линии? Вы хоть представляете сколько это стоит?
08:59:36 03-04-2025
Гость (13:50:07 02-04-2025) Женя, а вы из личного кармана профинансируете перенос коммун... по одному из генпланов города была линия по антона петрова или энтузиастам на солнечную поляну, ничего там не надо сносить. кольцо замыкается на депо пятёрочки - там не знаю, может и надо что-то расчистить. ещё одно кольцо - на конечную двойки. затраты, конечно. но реалистично. гораздо реалистичнее метро или нового шоссе
12:04:39 31-03-2025
а почему название на иностранном языке?
12:50:50 31-03-2025
Элен без ребят (12:04:39 31-03-2025) а почему название на иностранном языке? ... А почему ты используешь иностранный алфавит и арабские цифры? Да ещё пользуешься иностранным компьютером.
14:38:52 31-03-2025
Гость (12:50:50 31-03-2025) А почему ты используешь иностранный алфавит и арабские цифры... так и тянет написать цитату из фильма "Сережа" про дядю Петю, но боюсь, что ты не поймешь и будешь хныкать.
12:12:53 31-03-2025
Благолепно!
12:47:08 31-03-2025
Господи, не прошло и 30 лет как местные застройщики доросли до дворов без автомобилей. Как же всё медленно происходит, отставание лет на 40 не то чтобы от каких-то передовых веяний, а просто от типовых решений которые стали уже давно стандартом. Только только начали вылезать из устаревшей поточной советской спальной застройки.
18:35:05 31-03-2025
Гость (12:47:08 31-03-2025) Господи, не прошло и 30 лет как местные застройщики доросли ... А насколько лет отстают от понимания, что высотки это зло? 3-5 этажей комфортная среда.
В Европе уже давно тенденция отказа от человейников, про центр речи нет, а у нас на старые грабли
13:03:43 31-03-2025
16-20 этажей уюта
13:07:02 31-03-2025
надо делать кварталы как на потоке в сороковых строили. Широкие дворы между домами засаженные деревьями с минимумом асфальта и сами дома - двухэтажные таунхаусы на две семьи где можно сразу в полуподвале гараж делать. Вот это и красиво и экологично и удобно для жизни
13:27:26 31-03-2025
Гость (13:07:02 31-03-2025) надо делать кварталы как на потоке в сороковых строили. Широ... не продашь. в Москве или Сочи - найдутся состоятельные покупатели. в Сибири - вряд ли
20:01:27 31-03-2025
Кроме коричневого может ещё какие цвета знаете, просто эффект коричневого сразу напоминает г но. Но кому как конечно. Да и все тусклое разве . Зачем такие темные цвета. Можно же сделать красн синим зелёным и ТД.
13:40:24 02-04-2025
Сразу видно, что минусы в лайках ставят чиновники и рук.состав из Алгоритма
18:36:08 05-04-2025
Застраивают сельхозугодья... А чем будут питаться местные жители, подумали? Или вся еда будет привозиться не пойми откуда? И непонятно кем сварганенное?
Что касается застройки правого берега Оби, так эту затею похоронили ещё в советское время, так как у нашей реки есть дурная привычка выходить из берегов во время разлива, затопляя территорию вплоть до Новоалтайска... Да и левый берег ненадёжен, постоянно обрушивается, даже если застроен малоэтажками... Как говорится, всё для народа... Самим-то там не жить...